Project Information

Project Description:

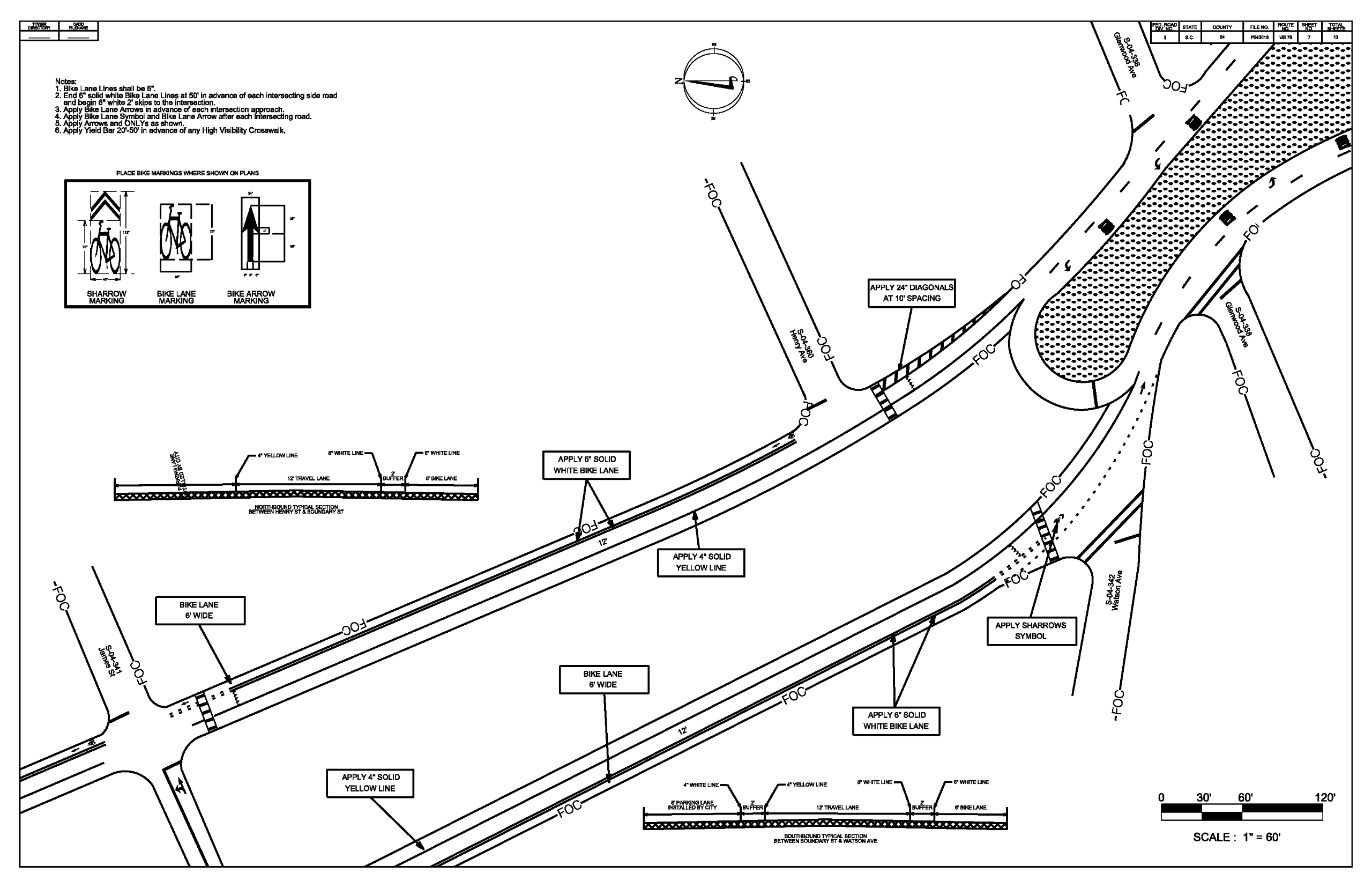
The South Carolina Department of Transportation (SCDOT) proposes Safety Improvements to a section of US 76 in Anderson County. The improvements are from N Main St. to Bleckley St. on US 76 in Anderson, SC.

Proposed Improvements:

The proposed improvements include resurfacing and Lane Diet along this section of US 76

Purpose and Need:

The purpose of the project is to improve safety, mobility, and traffic signal operations.

Project Display:

Project Plans:

Project Typicals:

Feedback:

While engineering will take time, we will continue to provide updates on the progress of the project via this project page. Be sure to hit the "follow" button at the top of this page to receive direct notifications sent to your inbox. Opportunity for public comment will occur during the engineering design phase.The Comment period starts on 02/11/26 and ends on 03/13/26

Comments and feedback about this project can be submitted below!